Discover
City
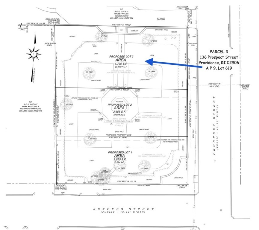
Providence, RI
Bedrooms
0
Bathrooms
0.0
Size
Price
$699,000
An exceptional opportunity to build a bespoke luxury residence in the heart of College Hill, one of the city's most coveted and architecturally distinguished neighborhoods. This premium building lot offers the perfect canvas for a custom home surrounded by stately residences, tree-lined streets, and timeless character. Set within a refined urban enclave known for its historic charm and elevated lifestyle, the property provides a rare chance to design and construct a high-end home tailored to your vision. Enjoy close proximity to top universities, acclaimed dining, boutique shopping, cultural institutions, and downtown amenities while maintaining the privacy and prestige that define College Hill living. With utilities in the street and favorable site characteristics for residential development, this lot is ideal for discerning buyers, luxury builders, or investors seeking to capitalize on a premier location. Opportunities to secure vacant land in College Hill are exceedingly rare this is your chance to create a legacy home in one of the city's most desirable addresses. This lot is one of three that can be purchased in a package of two or all three.

Broker / Owner